绿城蘭园二期
建设用地规划许可证批前公示
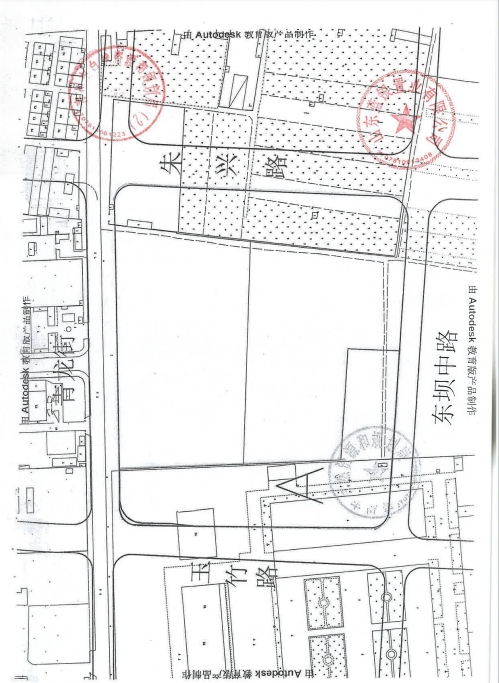
建设项目名称:绿城蘭园二期
建设单位:山东蓝银置业有限公司
建设位置:青龙街与规划朱兴路交叉口西南侧,西至玉竹路,东至东坝中路
用地性质:居住用地,商业服务业用地,商业可沿青龙街、东坝中路、玉竹路设置;A地块商业服务业用地占比19%
用地面积:17129平方米
审批依据:《中华人民共和国城乡规划法》、《山东省城乡规划条例》
公示时间:2023年10月26日——2023年11月1日
联系电话:0536-3889237、0536-3318662


来源:青州政府网信息公示

来源:青州政府网信息公示
